EN 1
CLIC

Météo - Marée

Pluie modérée
10.6°C
Coef

Baseline -interne

Site officiel de la Commune nouvelle des Sables d'Olonne

remblai-(40)ThibaultJandot

Les travaux

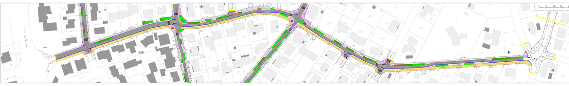
► RUE AMBROISE PARÉ

Plan global 250-web

 
 
 



Retour
  • Partager cet article